Überlagerung
Mit dem Symbol
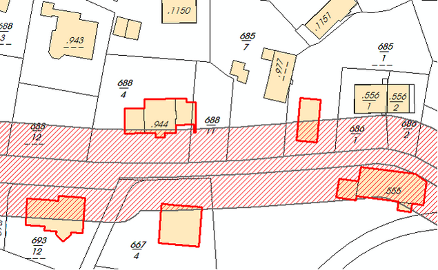
Überlagerung (Werkzeugleiste GeoOffice erweitert) können Sie von einem oder mehreren Polygon- bzw. Linienfeatures eines Layers (Basisfeatures), alle Features selektieren, die innerhalb eines angegebenen Abstandes zum Basisfeature liegen. Das Basisfeature und die überlagernden Features müssen nicht dem selben Layer angehören, z.B. können Sie sich alle Häuser selektieren, deren Abstand zu einem Grundstück (z.B. einer Straße) nicht größer als 10m sind.

Basisobjekt selektiert
Um das Basisobjekt (1) zu selektieren setzen Sie im Inhaltsverzeichnis den gewünschten Layer (z.B. Grundstücke) aktiv. Das Basisfeature wird mittels Selektionstool selektiert, anschließend wird die Funktion Überlagerung aufgerufen.
Für das Ergebnis der Überlagerung spielt der aktive Layer keine Rolle. Der Layer wird im Dialog Überlagerung eingestellt.

Überlagerung
Wählen Sie den zu überlagernden Layer (2) und geben Sie einen Abstand (3)(Radius) ein.
Optional können Sie wählen, ob der Puffer nach der Analyse als Grafik (4) dargestellt oder zusätzlich als Feature (5) erstellt werden soll oder nicht.
Mit der Option innerhalb oder gleich (6) geben Sie an, dass nur Features selektiert werden sollen, die sich komplett innerhalb der Selektion befinden. Dabei gilt ein Feature auch als innerhalb, wenn sich seine Kante exakt mit der Kante der Selektion deckt (= gleich)

Ergebnis der Überlagerung
|
Einstellungen zur Darstellung für den Pufferbereich finden Sie im Menü Datei > Optionen > Registerkarte Symbole. |